Prima pagină » Știri » Încep lucrările la pasajul Piața Sudului. Circulația pe Calea Văcărești, restricționată parțial

Încep lucrările la pasajul Piața Sudului. Circulația pe Calea Văcărești, restricționată parțial

Încep lucrările la pasajul Piața Sudului. Circulația pe Calea Văcărești, restricționată parțial
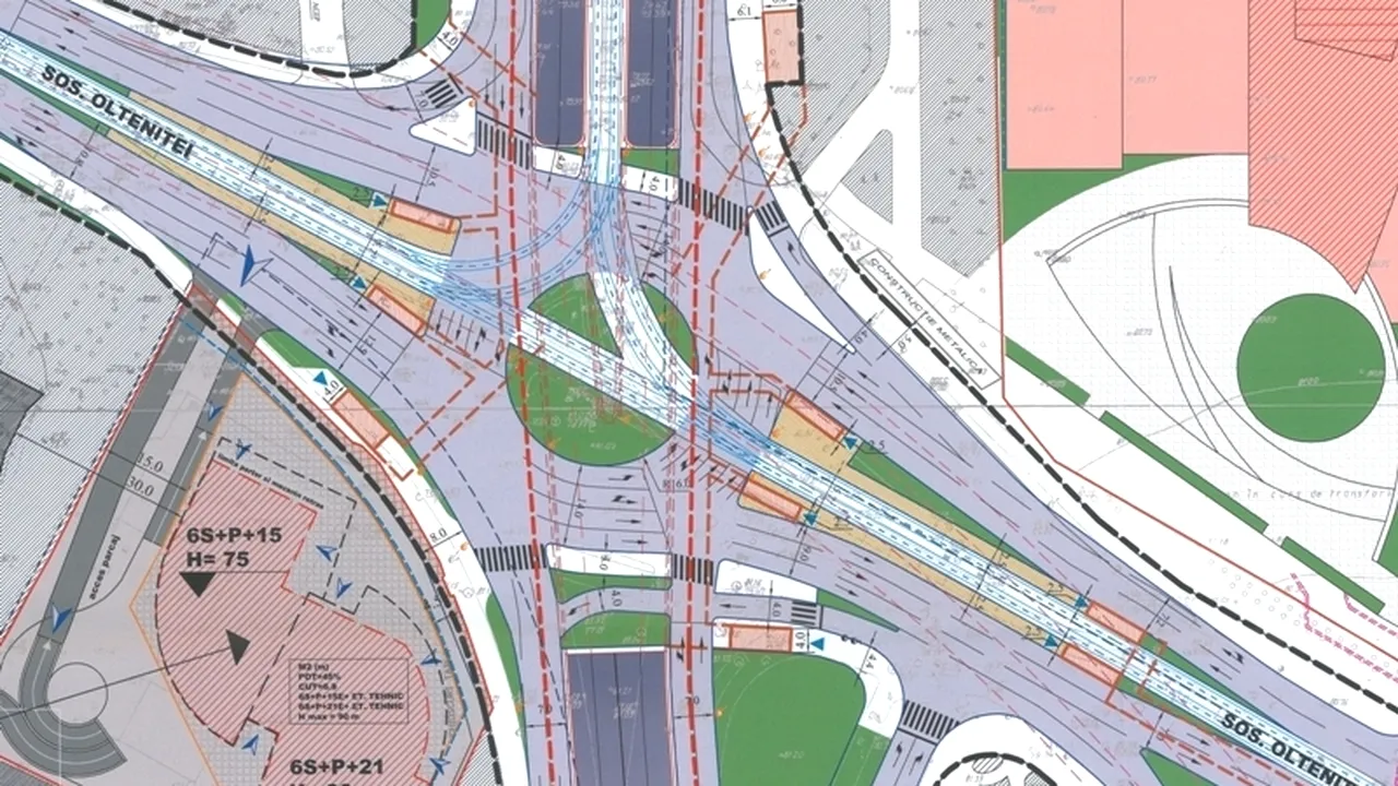
Circulația pe Calea Văcărești va fi restricționată între strada Mărțișor și Șoseaua Olteniței, de marți după ora 10.00, pentru începerea lucrărilor la pasajul subteran Piața Sudului, proiectul urmând a fi realizat cu fonduri europene, în 18 luni.

Traficul pe Calea Văcărești se va desfășura pe trei benzi de circulație pe sensul de mers către Șoseaua Olteniței și pe două benzi de circulație pe sensul spre bulevardul Tineretului, față de trei benzi pe sens, existente în prezent, se arată în comunicatul de luni al municipalității.

Totodată, se închide temporar accesul din Calea Văcărești la benzinaria Agip și se instituie restricția de oprire în zona lucrărilor.

Tot de marți, de la ora 10.00, stația de autobuze „Șos. Olteniței” unde opresc liniile 312, 313, 381, 634, N103, N105, amplasată pe Calea Văcărești dupa intersecția cu Șoseaua Olteniței, pe sensul de mers către Piața Unirii, și stația „Piata Sudului” a liniei 634, amplasată pe Calea Văcărești, înainte de intersecția cu Șoseaua Olteniței, pe sensul de mers către terminalul „Romprim”, se suspendă.
Totodată, autobuzele liniilor 634 și N103 vor efectua opriri pe Șoseaua Olteniței în stația „Piata Sudului”, corespunzătoare liniei 232 pe sensul de mers către Calea Văcărești.

La începutul lunii mai, Sorin Oprescu, arăta că lucrările pentru realizarea pasajului subteran rutier Piața Sudului, care va face legătura dintre Calea Văcărești și strada Nițu Vasile, vor dura 18 luni, până în luna decembrie 2015 și preciza că timpii de așteptare pentru șoferii care tranzitează zona va fi redus cu 74 la sută.
Contractul pentru execuția proiectului a fost semnat cu firmele Astaldi și Euroconstruct.

Primarul general al Capitalei arăta că proiectul presupune realizarea unui pasaj subteran rutier, care va face legătura dintre Calea Văcărești și strada Nițu Vasile, dar și amenajarea a patru pasaje pietonale de-a lungul pasajului rutier și către stațiile de tramvai.
De asemenea, proiectul vizează modernizarea carasobilului în intersecția Calea Văcărești – Olteniței – Nițu Vasile prin asigurarea în sensul giratoriu a patru benzi de circulație.
Valoarea totală a proiectului este de 127.140.761 lei, din care 96.442.727 lei sunt fonduri europene nerambursabile.
Lungimea totală a pasajului va fi de 356 de metri, lungimea rampei de intrare în pasaj dinspre Calea Văcărești, de 111 metri, iar a celei de ieșire spre Nițu Vasile – de 160 de metri.
 

Recomandarea video

Citește și

Mediafax
Vânătoare de lupi în Spania. Ecologiștii contestă decretul
Digi24
Așteptări mari, rezultate dezamăgitoare. Summitul cu Xi îl readuce pe Trump la realitate: China nu a cedat în problemele importante
Cancan.ro
Presa străină, ȘOCATĂ de prestația Alexandrei Căpitănescu la Eurovision. Ce au relatat jurnaliștii britanici 😲
Prosport.ro
FOTO. „Cea mai frumoasă femeie de pe planetă”. S-a căsătorit cu Eugenia și a spus-o fără ocolișuri
Adevarul
„Din doi săraci nu faci unul bogat”. Primăriile de la sat, în situații imposibile după „eficientizare”
Mediafax
Efectele alcoolului asupra organismului pot fi reversibile?
Click
Cele mai norocoase și fericite zodii ale verii 2026. Li se schimbă viața în bine, destinul le surâde pe toate planurile, au parte de iubire, bani și reușite neașteptate
Digi24
Omul pe care Putin îl vrea mort și care ar putea obține pacea în Ucraina: „Am avut de-a face cu ei mulți ani, știu cum să le vorbesc”
Cancan.ro
Cabral Ibacka, relație secretă cu un model Playboy cu origini africane
Ce se întâmplă doctore
Imagini rare cu Oana Zăvoranu în anul 2000, înainte de operațiile estetice. Acum e total schimbată
Ciao.ro
Amante celebre din showbiz-ul românesc! Unele au ajuns în faţa altarului, altele au rămas doar cu amintirea
Promotor.ro
Turcii și românii lucrează la o dronă terestră pentru armată: FOTO și primele detalii despre proiect
Descopera.ro
Trucul simplu pentru plantele de apartament atunci când plecăm de acasă
Râzi cu lacrimi
BANCUL ZILEI. Într-un restaurant select, un muzician se apropie de masa lui Bulă
Descopera.ro
O structură gigantică observată cu Telescopul Hubble răstoarnă tot ce se știa despre nașterea planetelor