Prima pagină » Știri externe » Uraganul Melissa lovește Cuba, după ce a devastat Jamaica. Sute de mii de oameni, mutați în adăposturi și numeroase sate inundate

Uraganul Melissa lovește Cuba, după ce a devastat Jamaica. Sute de mii de oameni, mutați în adăposturi și numeroase sate inundate

Uraganul Melissa lovește Cuba, după ce a devastat Jamaica. Sute de mii de oameni, mutați în adăposturi și numeroase sate inundate

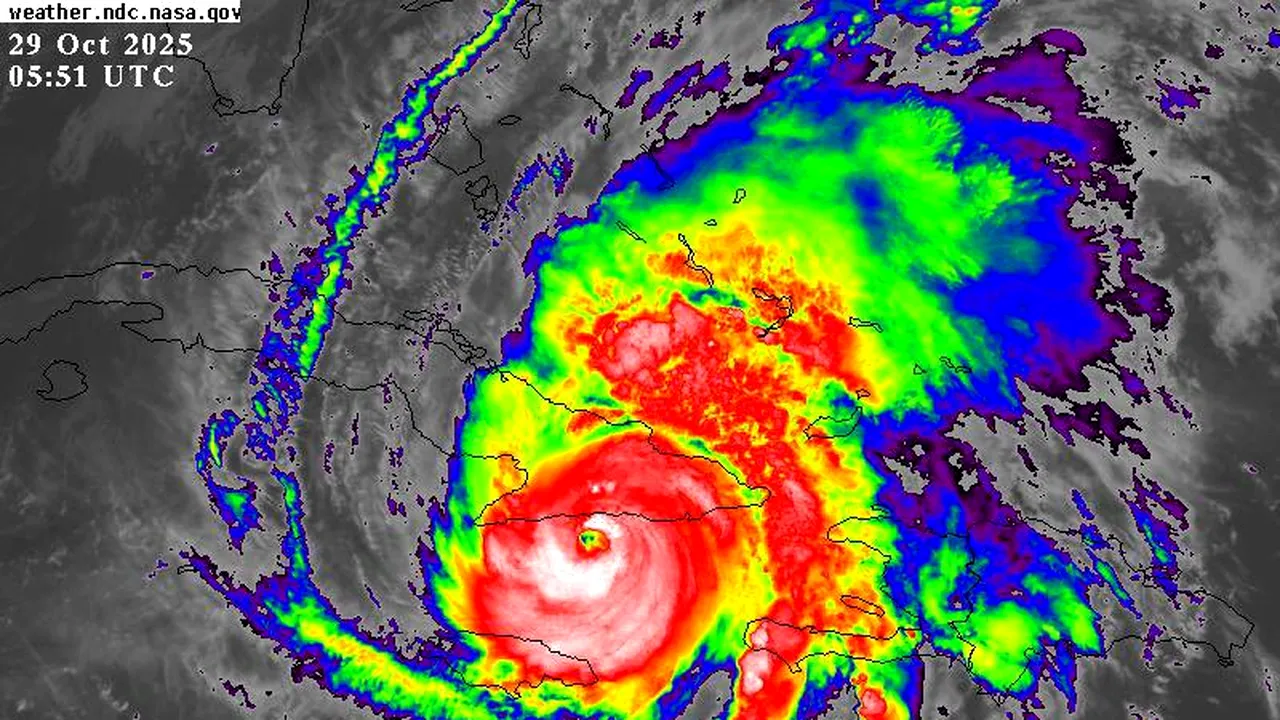
Uraganul Melissa a lovit, miercuri, sud-estul Cubei, cu vânturi devastatoare și ploi abundente care provoacă deja inundații în mai multe provincii.

Potrivit presei cubaneze, în orașul Santiago de Cuba s-au raportat inundații în zone precum Los Coquitos, La Alameda, San Pedrito și Ferreiro.

Autoritățile au confirmat, de asemenea, că mai multe râuri au ieșit din matcă și că există o creștere a nivelului apei în Chivirico, pe coasta de sud-est. Potrivit ziarului Cubadebate, brigăzile de salvare au fost mobilizate în zone greu accesibile pentru a proteja vieți omenești, în timp ce uraganul își continuă marșul intens spre estul Cubei.

INUNDAȚII ÎN CHIVIRICO

INUNDATII ÎN SANTIAGO DE CUBA 

Peste 730.000 de persoane au fost evacuate în Cuba, potrivit autorităților insulare.

Melissa a lovit Cuba cu vânturi de până la 190 km/h și se deplasa spre nord-est, potrivit Centrului Național pentru Uragane. Furtuna se afla la 96 km vest de Guantanamo și la 375 km sud de centrul Bahamas.

Centrul pentru Uragane a avertizat populația din Cuba să rămână în case și a menționat că pregătirile înainte de sosirea furtunii în Bahamas „ar trebui finalizate rapid”.

Uraganul ar putea agrava criza economică severă pe care o trăiește Cuba, cu pene de curent prelungite și penurie de combustibil și alimente.

Într-un discurs televizat, președintele cubanez Miguel Díaz-Canel a declarat că vor fi multe pagube și multe de făcut, menționând în același timp că nimeni nu va fi lăsat în urmă și că nu se vor precupeți resurse pentru a proteja populația.

În plus, președintele le-a cerut cubanezilor să nu subestimeze puterea uraganului Melissa, pe care l-a descris ca fiind cel mai puternic uragan care a lovit vreodată insula.

Melissa a pierdut din intensitate înainte de a lovi Cuba, până la un uragan de categoria 3, după ce a măturat marți țărmul din apropierea orașului jamaican New Hope, însoțită de vânturi de 295 de kilometri pe oră, potrivit Centrului cu sediul în Miami.

Se așteaptă ca Melissa să slăbească și mai mult, pe măsură ce traversează Cuba, dar se prognozează că va rămâne un uragan puternic pe măsură ce se deplasează prin sud-estul sau centrul Bahamas, miercuri seară. Meteorologii avertizează că se va apropia sau va trece la vest de Bermuda joi noaptea, unde este deja în vigoare o avertizare de uragan.

Trump promite ajutor pentru Jamaica

Președintele american Donald Trump a declarat, miercuri, că nu a mai văzut „niciodată” un uragan cu vânturi atât de puternice precum Melissa și a dat asigurări că Statele Unite vor oferi ajutor umanitar populației din Jamaica.

Trump a spus că vânturile au atins viteze de 300 km/h și a descris efectele furtunii: „Dărâmă literalmente tot ce îi stă în cale ”. El a subliniat că uraganele de categoria 5, cele mai puternice pe scara Saffir-Simpson, nu se produc de obicei.

Președintele a dat asigurări că Statele Unite sunt pregătite să acționeze și să ofere asistență.

„Trebuie să facem acest lucru, așa că urmărim îndeaproape situația și suntem pregătiți să acționăm.“, a declarat el reporterilor la bordul Air Force One în timpul zborului său spre Coreea de Sud din Japonia.

RECOMANDĂRILE AUTORULUI:

Cel mai puternic URAGAN al secolului lovește Jamaica. Care sunt ultimele evoluții

Uraganul Melissa, de categorie 5, depășește Katrina ca intensitate și amenință Jamaica

Recomandarea video

Citește și

Mediafax
Cel mai lung pod feroviar și rutier din lume a devenit o atracție turistică. Podul supraetajat care leagă cinci insule pare că „se înalță spre cer”
Digi24
Șeful diplomației maghiare lansează avertismente similare cu cele ale Kremlinului: liderii UE împing Europa spre un război cu Rusia
Cancan.ro
Celebrul fotbalist la Steaua a ajuns boschetar: ”N-are casă, doarme pe străzi”
Prosport.ro
FOTO. Gafă vestimentară fără precedent! Ce a pățit vedeta a pus-o într-o ipostază mai mult decât jenantă
Adevarul
Trump ar fi dispus să ofere Ucrainei o „garanție de securitate NATO”. Expert: „Un precedent relevant este cazul Suediei și Finlandei”
Mediafax
Trei români au virat câte peste 200.000 de lei la Pilonul 2 într-o singură lună. Care este cea mai mare contribuție într-un cont de pensie obligatorie administrată privat
Click
Irinel Columbeanu s-a botezat, înainte de Sărbători. Fostul milionar și-a schimbat religia la 68 de ani: „E cea mai importantă decizie din viața lui”
Digi24
Rodica Stănoiu a fost deshumată. Trupul fostei ministru al Justiției urmează să fie dus la INML la cerea procurorilor
Cancan.ro
Cuplul finalului de an în România! Vedeta Antena 1 l-a cuplat, fără să-i pese că e ÎNSURAT
Ce se întâmplă doctore
Cât de mult s-a schimbat Elena Băsescu! Nu o mai recunoști! Cum arată acum, la 45 de ani
Ciao.ro
Poveştile de iubire care au rămas doar o amintire! Imagini tari cu Gina Pistol, Răzvan Fodor sau Andra Măruţă şi foştii parteneri
Promotor.ro
Decembrie: Începe o nouă sesiune Rabla 2025. Câți bani primești pentru o mașină nouă
Descopera.ro
Cele mai periculoase locuri de pe Pământ!
Râzi cu lacrimi
BANCUL ZILEI. – Iubi, tu mă mai iubesti? – Da, cum să nu, draga mea!
Descopera.ro
S-A LANSAT ARCMEDIA, CEL MAI MARE GRUP DE PUBLISHING DIN ROMÂNIA