Prima pagină » Magazin » Rihanna promite că va sprijini statul Bahamas, devastat de uraganul Dorian: Ne rugăm pentru voi

Rihanna promite că va sprijini statul Bahamas, devastat de uraganul Dorian: Ne rugăm pentru voi

Rihanna promite că va sprijini statul Bahamas, devastat de uraganul Dorian: Ne rugăm pentru voi
Celebra cântăreață originară din Barbados Rihanna a promis că va ajuta statul insular Bahamas, care a fost devastat în ultimele zile de uraganul Dorian, potrivit dailymail.co.uk.

Luni, în timp ce locuitorii statului Bahamas se confruntau cu puternicul uragan, fiind sfătuiți să evacueze zonele afectate, Rihanna a scris un mesaj pe platforma de micro-blogging Twitter pentru a-și exprima compasiunea.

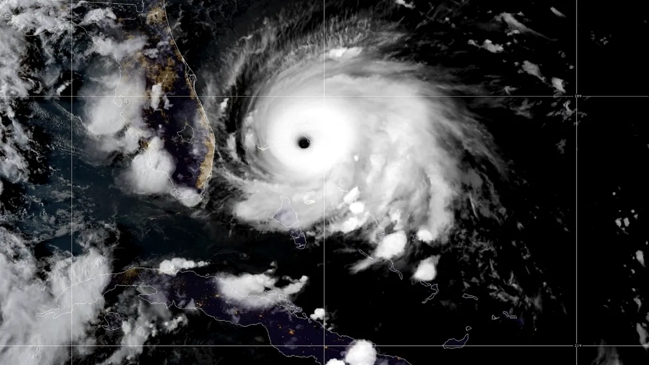
„M-a îndurerat profund să văd distrugerile pe care uraganul Dorian le-a cauzat în Bahamas”, a scris aceasta.

La scurt timp, artista a anunțat că Fundația Clara Lionel, care îi aparține, va sprijini victimele uraganului: „Ne rugăm pentru voi, iar Fundația Clara Lionel caută deja soluții prin care să vă putem ajuta în cel mai eficient mod”, a declarat cântăreața în vârstă de 31 de ani.

Cel puțin șapte persoane au murit după ce uraganul Dorian a devastat arhipelagul Bahamas, a informat, miercuri, premierul Hubert Minnis, care a avertizat că bilanțul ar putea să crească. Premierul a spus, la întoarcerea sa dintr-un tur aerian deasupra regiunii Abaco, că estimează că aproximativ 60% dintre casele de acolo au fost distruse.

Cu peste 250 de milioane de albume vândute în lumea întreagă, Rihanna, recompensată cu nouă premii Grammy, este unul dintre starurile muzicii mondiale. Artista originară din Barbados este și cea mai bogată cântăreață din lume, potrivit revistei Forbes, care a dat publicității topul pe 2019 al antreprenoarelor cu cele mai mari averi.

Foto: Hepta

Recomandarea video

Citește și

Mediafax
„Vorbea despre Lucifer și putere absolută”: mărturii tulburătoare în cazul triplei crime din Târgu Jiu
Digi24
Un castel din România, printre câștigătorii Premiilor Europene pentru Patrimoniu
Cancan.ro
Veste DEZASTRUOASĂ pentru clienții Digi! Cresc TOATE abonamentele. Notificarea pe care au primit-o TOȚI consumatorii RCS RDS
Prosport.ro
FOTO. Prezentatoarea TV a revenit pe „sticlă”. Cum arată după ce a fost diagnosticată cu o boală rară
Adevarul
De ce ar vrea Putin să negocieze direct cu europenii. Planul secret al Kremlinului, analizat de un expert român din Elveția
Mediafax
Povestea-șoc a unui copil norvegian de 10 ani, abandonat de părinți în India pentru a învăța să supraviețuiască
Click
Reacția lui Ion Cassian, după ce Monica Tatoiu a spus că Irinel Columbeanu a fost „băiatul lui tata”: „Nu a escrocat pe nimeni, nu l-a văzut nimeni pe holurile DNA”
Digi24
Serviciile britanice dezvăluie, în premieră, câți ruși au fost uciși în războiul din Ucraina
Cancan.ro
Cum a reacționat Nicoleta Luciu, după dezvăluirile făcute de Sile Cămătaru? Actrița a uimit pe toată lumea
Ce se întâmplă doctore
Artista celebră care a învins cancerul în doar 1 an. Anunțul făcut chiar din salonul de spital: „Am plâns ore întregi după ce am primit vestea”
Ciao.ro
Vedete cu suflet mare! Ce persoane publice din România au adoptat copii
Promotor.ro
Cod Rutier 2026: Amendă și permis suspendat pentru șoferii care depășesc un motocultor pe linia continuă
Descopera.ro
Care este cea mai RARĂ culoare din natură?
Râzi cu lacrimi
BANCUL ZILEI. El și ea în pat. El: - Ești agitată?
Descopera.ro
Uneltele antice arată ce foloseau chirurgii din dinastia Ming pe post de anestezic